新浪乐居讯 与全国地王频出相比, 6月1日,南宁国土局出让的经开区4大地块挂牌出让均遇冷,以底价成交!GC2016-023、GC2016-024、GC2016-026均被南宁嘉通置业有限责任公司(以下简称嘉通置业)拿下;GC2016-025被南宁市雅力富建设投资有限责任公司(以下简称雅力富)拿下。
6月1日土地成交一览表
据了解到嘉通置业是南宁国家经济开发区政府唯一的国有资产运营商南宁绿港建设投资集团有限公司旗下子公司,该公司现扎根江南经开区,目前开发在售项目有南宁绿港国际中心。
嘉通置业现场拿地
同样,早在2015年6月19日,雅力富也已成功布局江南,拿下了位于经开区那洪大道南侧、北部湾1号路东面的拍转挂地块——紫兰公馆,该项目是雅力富在南宁的首个房地产项目。同年7月22日,雅力富拿下了GC2015-084地块则位于经开区国凯大道北侧、国凯二支路西侧——锦兰公馆。截至今日,雅力富成功布局南宁江南区3大项目。据雅力富现场负责人介绍雅力富为本土企业,紫兰公馆、锦兰公馆2大项目今年9月份推出,刚需为主,毛坯价5800到6000元每平米。而此次拿下的地块将建设低密度的改善型小洋房。
雅力富现场签约拿地
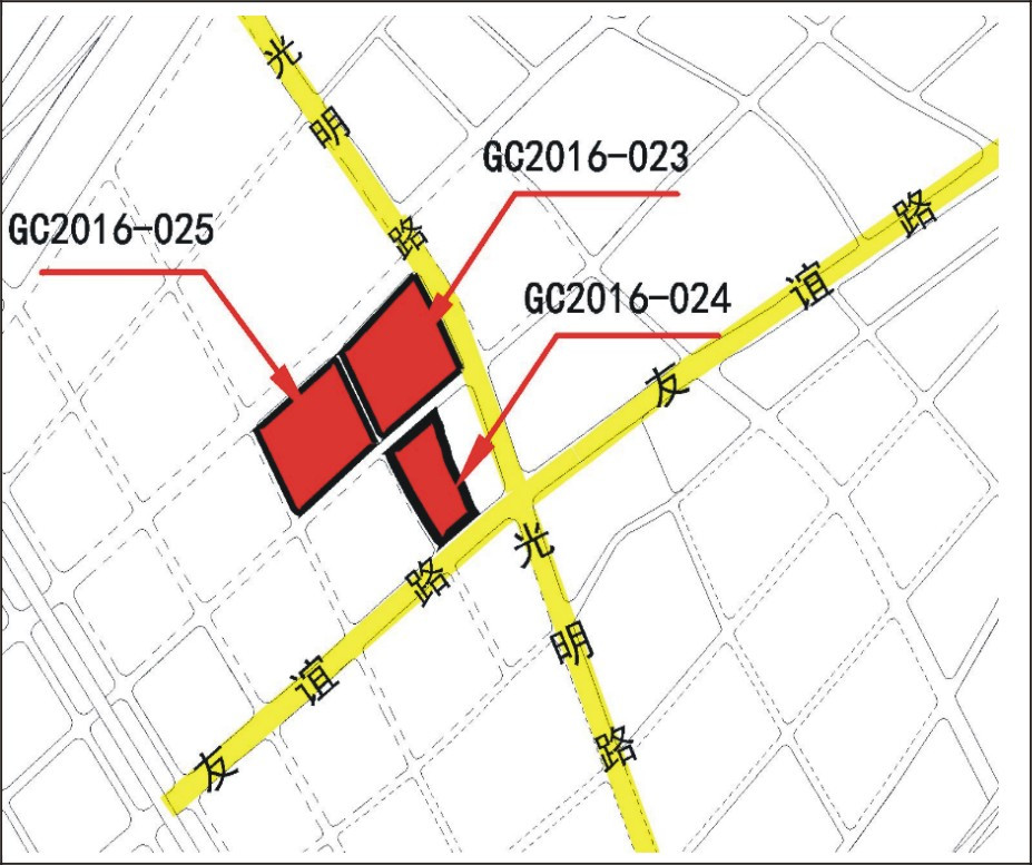
(一)GC2016-023地块位于经开区光明路西侧、友谊路北面,宗地号:450105102001GB00195;出让面积85820.28平方米(折合128.730亩),土地批准用途:城镇住宅用地、批发零售用地;土地使用年限:城镇住宅用地70年、批发零售用地40年。
主要规划设计条件:容积率>1.0且≤2.0, 建筑密度>20%且≤30%,绿地率≥35%,建筑高度控制要求:满足机场限高要求,屋顶标高小于168米。商业建筑面积占计算容积率的总建筑面积比例为5%-10%,其余为住宅。
其他规划设计要求按《南宁市规划管理局建设项目规划设计条件通知书》(审批号:JKCR2016-010)和《南宁市房地产开发项目建设条件意见书》(南经房开发意见书[2016]4号)的规定执行。
挂牌起始价为人民币127万元/亩,竞买保证金为人民币3270万元。
(二)GC2016-024地块位于经开区光明路西侧、友谊路北面,宗地号:450105102001GB00196;出让面积43957.89平方米(折合65.937亩),土地批准用途:城镇住宅用地、批发零售用地;土地使用年限:城镇住宅用地70年、批发零售用地40年。
主要规划设计条件:容积率>1.0且≤2.0, 建筑密度>20%且≤32%,绿地率≥35%,建筑高度控制要求:满足机场限高要求,屋顶标高小于168米。商业建筑面积占计算容积率的总建筑面积比例为10%-15%,其余为住宅。
其他规划设计要求按《南宁市规划管理局建设项目规划设计条件通知书》(审批号:JKCR2016-012)和《南宁市房地产开发项目建设条件意见书》(南经房开发意见书[2016]6号)的规定执行。
挂牌起始价为人民币132万元/亩,竞买保证金为人民币1741万元。
(三)GC2016-025地块位于经开区光明路西面、友谊路北面,宗地号:450105102001GB00197;出让面积81528.69平方米(折合122.293亩),土地批准用途:城镇住宅用地、批发零售用地;土地使用年限:城镇住宅用地70年、批发零售用地40年。
主要规划设计条件:容积率>1.0且≤2.0, 建筑密度>20%且≤30%,绿地率≥35%,建筑高度控制要求:满足机场限高要求,屋顶标高小于168米。商业建筑面积占计算容积率的总建筑面积比例为5%-10%,其余为住宅。
其他规划设计要求按《南宁市规划管理局建设项目规划设计条件通知书》(审批号:JKCR2016-011)和《南宁市房地产开发项目建设条件意见书》(南经房开发意见书[2016]5号 )的规定执行。
挂牌起始价为人民币126万元/亩,竞买保证金为人民币3082万元。
地块位置示意图
GC2016-026地块位于经开区友谊路西侧、那洪大道北侧,宗地号:450105004002GB00140;出让面积9305.34平方米(折合13.958亩),土地批准用途:城镇住宅用地;土地使用年限:70年。
主要规划设计条件:容积率>2.5且≤4.0, 建筑密度>22%且≤30%,绿地率≥35%。
本地块须配建建筑面积7000平方米的公共服务用房,建成后无偿移交给经开区那洪街道办,并协助办理产权登记手续。
其他规划设计要求按《南宁市规划管理局建设项目规划设计条件通知书》(审批号:JKCR2016-001)和《南宁市房地产开发项目建设条件意见书》(南经房开发意见书[2016]1号)的规定执行。
挂牌起始价为人民币319万元/亩,竞买保证金为人民币891万元。
GC2016-026地块位置示意图







